Office-Warehouse for rent in the Center of Heredia
8 ViewsDescription
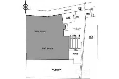
Office-Warehouse for rent in the Center of Heredia with place for 4 containers or trucks, area for parking cars and trucks, forklift ramps for the loading area, bathroom with shower and toilets, offices on the first floor, telephone lines available.
The area of the property is 3,878.91 m2: offices 302.23 m2, parking 1,175.89 m2, warehouse 2,345.93 m2, guard house 7.85 m2, platform 53 m2.
General Information
- Property ID: 208874
- Rental Price: $15,992
- Province: Heredia
- Canton: San Pablo
- District: San Pablo
Characteristics
- Lot Size: 3878 m²
- Construction: 2345 m²
Property Type
- Warehouse
Property Features
- Parking
- Tenant improvement
- TV Room
Community Features
- Downtown Area
- Near School
